Organisers of the Miami Borward Carnival are not bothered by the effects of Hurricane Matthew. The success of the carnival heavily relies on the support of people from the Caribbean. This has made th...
Miami Event Cancellations and Changes

Wednesday, Oct 05 03:31 AM

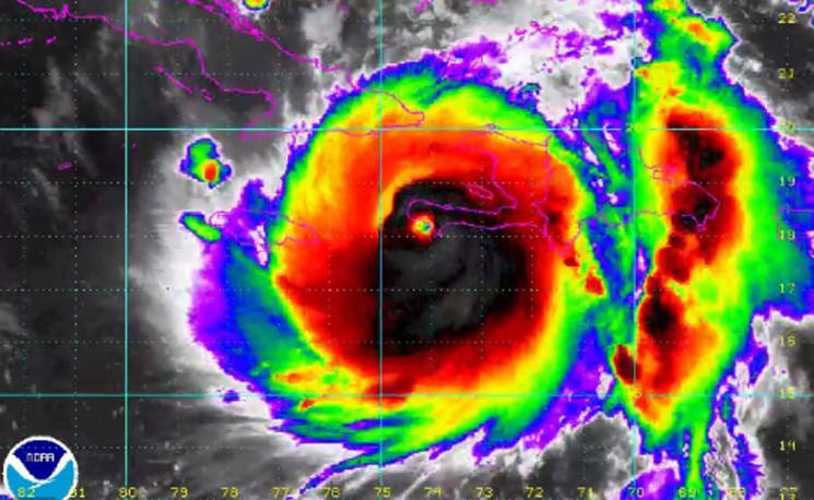
As Hurricane Matthew makes its way north, Miami is living in a state of limbo: Will school be canceled? Will you have to go to work Thursday? Should we all just pack ourselves into our cars and drive ...
can't find my ticket